Munkánk
A Flyforest Drone egy drónokkal dolgozó szolgáltató cég, amely különböző szolgáltatásokat nyújt a mezőgazdasági és erdészeti ágazat számára.

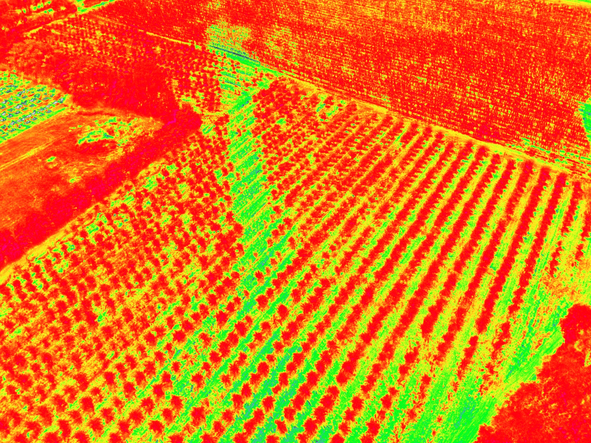
Drónos földmérés
Egyre nagyobb mértékben terjed el a drónokkal történő felmérés, melynek köszönhetően hamarabb jöhetünk rá termőföldünket érintö bizonyos probémákra, ennek köszönhetöen időben javithatjuk öket.

Ingatlan fotózás
Az ingatlanok bemutatásának egyik legfontosabb eszköze a professzionális fotózás, amely segít a potenciális vásárlóknak szemléletesebb és vonzóbb képet nyújtani a házról vagy lakásról.

Marketing videók
A marketing videók segítségével könnyedén és hatékonyan mutathatjuk be termékeinket vagy szolgáltatásainkat a potenciális ügyfeleknek.

Erdészeti felmérések
Az erdészeti felmérések segítenek megérteni és megőrizni a természet erőforrásait.
